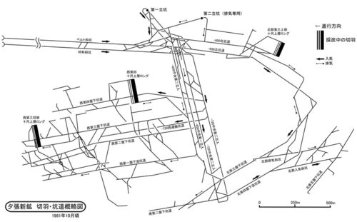
前回の記事では南大夕張炭鉱の坑道図を紹介しましたが、その文中に「夕張新鉱と比較すると結構複雑です」と書いたくせに、実は夕張新鉱の坑道図を皆さんに見せていないのを今になって気がつきました。 という訳で、ここでは以前暇を見て作った夕張新鉱の坑道…
北炭夕張新鉱のことばかり書いていたら、ただでさえ少ないネタが枯渇してしまうので(笑)、ここらですぐ隣の鉱区にあった南大夕張炭鉱の簡単な解説でもしてみたいと思います。 夕張市内に作られた炭鉱で二番目に新しく、そして一番最後まで稼働していた炭鉱…
引用をストックしました
引用するにはまずログインしてください
引用をストックできませんでした。再度お試しください
限定公開記事のため引用できません。